Anunț prealabil privind afișarea publică a documentelor tehnice ale cadastrului
Denumire județ: Brașov
Denumire UAT: Harseni
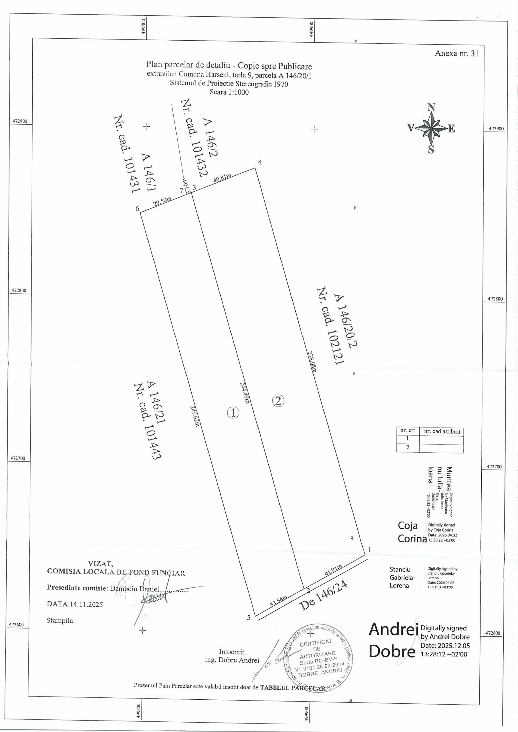
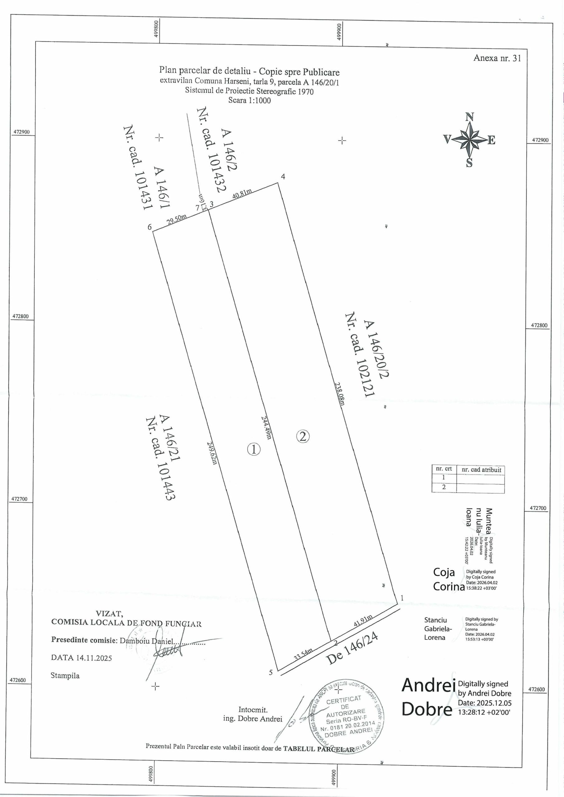
Unitatea administrativ teritorială comuna Hârseni, judetul Brașov anunță publicarea documentelor tehnice ale cadastrului pentru Planul parcelar T 9 Parcela A 146/22 pe o perioadă de 30 de zile calendaristice, conform art.40 alin. (7) …(12) din Legea cadastrului și a publicității Imobiliare nr. 7/1996, republicată, cu modificările și completările ulterioare.
Data de început a afișării: 11.04.2026
Data de sfârșit a afișării: 10.05.2026.
Adresa locului afișării publice: avizier Sat Harseni, nr.175 , comuna Hârseni , judetul Brașov, precum și pe pagina de internet http://www.primariaharseni.ro
Cererile de rectificare ale documentelor tehnice vor putea fi depuse la sediul Primăriei comunei Hârseni. Informații privind Programul național de cadastru și carte funciară 2015-2023 se pot obține pe site-ul ANCPI la adresa: www.ancpi.ro/pnccf/















